內視鏡無創手術
寵物內視鏡無創手術|胃食道異物取出
築心利用消化道專用寵物內視鏡取出胃食道異物,寵物內視鏡無創手術沒有開放性傷口、縮短術後照護時間,當天即可回家!
毛小孩食道卡異物,有食道異物該怎麼辦?
犬貓最常見的食道異物包括潔牙骨、各種骨頭、魚鉤、針以及各式玩具,症狀則包含急性吞嚥困難、吞嚥疼痛、喘氣、焦躁、反流、過度流涎、發燒、精神食慾下降等等。
以往動物醫學將犬貓的食道異物視為相當棘手的狀況,經常會需要開胸手術才有辦法取出異物。然而,開胸手術容易造成許多併發症,加上麻醉風險高、術後非常疼痛,需要長期住院照料,對於犬貓與其家人都非常煎熬。
隨著醫療日益進步,本院目前已有「寵物內視鏡無創手術」設備,利用消化道內視鏡的鏡頭與夾取專用器械,由口腔進入食道直接夾除異物,順利的話將不會對犬貓造成開放性傷口、也不需要長期的術後照護,大部分完成寵物內視鏡無創手術後的犬貓,當天就可以回家了!
但仍需注意,若食道內的異物卡住時間太久、錯失處理時機,仍可能造成食道穿孔,進而引發胸膜炎、吸入性肺炎等嚴重併發症,仍有可能會需要進行重大開創手術,除了必須住院治療,還有相當程度的感染風險與致死可能。因此請各位爸媽一旦發現毛小孩亂咬、亂吞時,請特別注意,如有疑似症狀,一定要及早就醫、詢求專業獸醫師的協助喔!
毛小孩誤吞異物,胃異物該如何處理?
犬貓經常會意外吞食無法消化的異物,除了少數很幸運能夠通過食道、胃、小腸、大腸一路跟著糞便排出,其餘則面臨腸胃道部份或完全阻塞的可能性,除了上述卡在食道內的情況之外,即使順利離開食道到達胃內,接下來的過程嚴重仍可能導致腸胃道壞死、穿孔引起感染性腹膜炎並面臨生命危險。
腸胃道部份或完全阻塞的症狀包含嘔吐、精神食慾下降、虛弱等等,若吞食當下馬上就醫則有可能尚未出現症狀。
因此若是毛小孩誤吞異物當下或是症狀初期及早察覺診斷,本院可利用消化道寵物內視鏡由口腔經食道進入胃內,有機會將異物取出而不會留下開放性傷口,也不需要長期的術後照護,大部分毛小孩當天經醫師評估無礙後,就可以回家了。
但仍需注意,若異物不幸下滑進入小腸塞住,或是碰到無法或不適合以寵物內視鏡夾取的異物,則仍需要用開腹手術合併腸胃道切開的方式才能取出,甚至還有可能因腸段壞死而需截掉部分腸子,手術及術後併發症風險就會大大提高,術後也會需要較長時間住院觀察治療。
異物案例一 : 針
胃異物、線性異物、急性乾嘔、急性嘔吐、流口水、吞針帶線、急診手術、內視鏡無創手術、手術無傷口
醫生!我的貓咪吞了一根針!該怎麼辦?
貓咪天性喜歡咬或是抓線狀的東西,且貓咪舌頭上有倒鉤,咬了線後常常就吐不出來,只好一直吞一直吞,最後連線最尾端連著的針也一起吞到肚子裡面了!
本病歷的小貓咪就是趁媽媽不在偷跑去玩線,媽媽回來後發現小貓一直乾嘔而帶來醫院就診,在X光下赫然發現胃裡有一根針!和醫師討論後手術利弊後,決定使用可以馬上回家且無創的內視鏡手術將異物取出。麻醉甦醒後,小貓很快恢復了精神活力,好像什麼都沒發生過,開開心心的回家了。
這隻小貓相當幸運,在X光下就看到了針,但若線狀物後面沒有帶金屬物品,在X光片下較不易診斷,時常會拖好幾天,這時線性物品可能會割破腸道造成無法挽回的後果!請各位家長務必輕忽連續嘔吐的症狀,也要收好家裡各種線狀物品唷(例如鞋帶、毛線、縫衣線等等)!
用內視鏡慢慢地將針夾出來

夾出的針
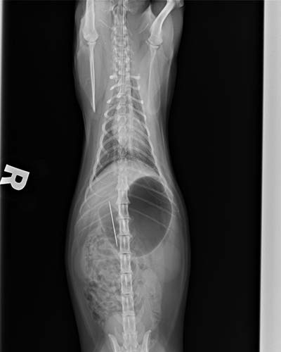
X光可以看到胃中有一根針
仰照也可以看到針的位置
內視鏡可以看到針卡在胃部
夾出的針還有線
異物案例二 : 尖銳的骨頭
胃中可見邊緣尖銳的骨頭
內視鏡中看到骨頭影像
用工具夾住骨頭
異物案例三 : 蘋果塊


內視鏡下看到食道內的蘋果
以導管輔助將異物取出
取出的異物(蘋果)
為什麼要選擇內視鏡夾取異物?
內視鏡手術V.S傳統開腹手術V.S開胸手術(異物卡在食道)
| # | 傷口大小 | 疼痛 | 復原時間 | 術後是否要餵流質食物 | 術後是否要戴頭套 |
|---|---|---|---|---|---|
| 無創內視鏡 | 無傷口 | 無痛 | 術後約3-5天疼痛 | 可以不用 | 不用 |
| 傳統開腹 | 約5-10公分 | 術後3天疼痛 | 7-10天 | 需要 | 戴10-12天 |
| 開胸手術 | 約5-10公分且可能需要安裝胸管 | 術後約3-5天疼痛 | 7-14天 | 需要.甚至可能需要裝胃管 | 戴10-14天 |