子宮蓄膿的狗狗 股骨頭脫位 尿道結石 胃扭轉(GDV) 急性腎損傷
子宮蓄膿的狗狗

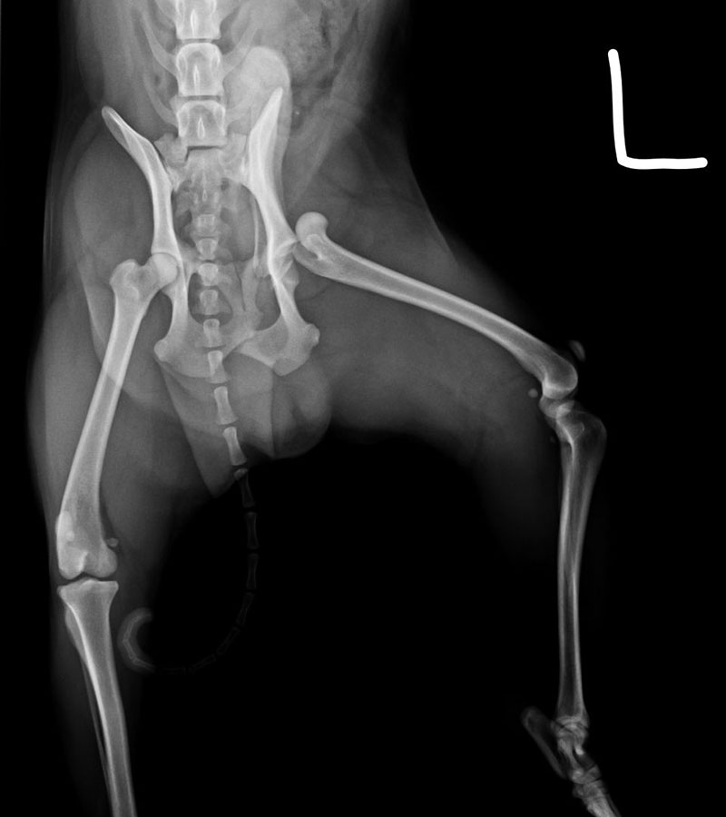
股骨頭脫位

車禍導致左後肢疼痛不敢踩地的柴弟經過X光確診為股骨頭脫位,跟飼主討論不同的治療方式後最後決定採用股骨頭切除術,目前已解除疼痛並回復正常行走。
尿道結石
排尿困難導致腎指數破錶的貓咪,經X光確認尿道結石。利用導尿管將石頭沖洗回膀胱,以內科穩定病情後實施膀胱切開取出石頭。
胃扭轉(GDV).
凌晨兩點就診的點點因為罹患胃扭轉(GDV)而不適,幸好半夜有即時就診手術校正,住院3天後就平安出院;如果拖到隔天早上才手術可能就沒有那麼幸運了喔!
急性腎損傷
不明原因引起急性腎損傷的柴柴,住院期間尿毒持續上升、並出現寡尿現象,及時開始腹膜透析療程,平安度過寡尿期順利康復回家。