狗狗的心絲蟲感染 打針吃藥真的是最好的方式嗎? 有時候會遇到驗血發現狗狗罹患心絲蟲的主人,希望不要更進一步檢查,直接安排吃藥打針或是不治療直接投予預防藥,但這其實是非常危險的!

 

如果狗狗今天右心房右心室已經塞滿心絲蟲了,或是已經進入腔靜脈症候群的階段,傳統打針/吃藥/只投與預防藥的方式有非常高的機率會失敗導致死亡,或是大量的蟲死掉後身體惡化造成肺栓塞、肺高壓、肺炎、不可逆的右心衰竭,進而需要長期吃心臟病藥控制。

 

遇到像這類的病患,夾蟲手術的優點在於快速有效減少心絲蟲對心臟的負擔,以及減少內科治療後蟲體死亡產生的後遺症。

心絲蟲外科夾蟲手術也有麻醉風險,不是每個病患都適合執行喔!

 

以下為本院病例分享
夾蟲手術過程



影片為實際將蟲夾出的過程,血腥慎入!!

 

心絲蟲實際照片


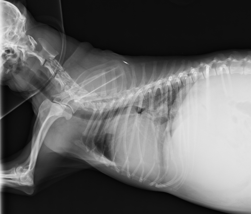
術前胸腔X光:心臟肥大,腹部有嚴重腹水

術前超音波:在右心房及右心室看到許多等號樣(=)的心絲蟲體

 

術後復原良好